Sâu khoang hại ớt là một trong những dịch hại nguy hiểm nhất mà bà con trồng ớt thường xuyên phải đối mặt. Loài sâu này gây hại mạnh từ giai đoạn cây con cho đến khi ra hoa, đậu trái, khiến cây còi cọc, trái non bị đục, thậm chí thất thu nặng nề. Bài viết này, Tổng Kho Z sẽ cùng bà con tìm hiểu đặc điểm gây hại của sâu khoang, dấu hiệu nhận biết cũng như các giải pháp quản lý hiệu qủa.
1. Thông tin chung về sâu khoang hại ớt
– Tên thường gọi: Sâu khoang, sâu keo.
– Tên khoa học: Spodoptera litura.
– Ký chủ gây hại: Ớt, bắp, cà chua và nhiều cây trồng khác.
1.1. Đặc điểm của sâu khoang hại ớt
Sâu khoang trưởng thành có kích thước trung bình 2,5 – 4 cm. Thân hình tròn, thẳng, màu sắc thay đổi từ xanh lục đến nâu hạt dẻ. Trên cơ thể có ba đôi chân ngực và một đôi chân nhỏ ở phần hông.
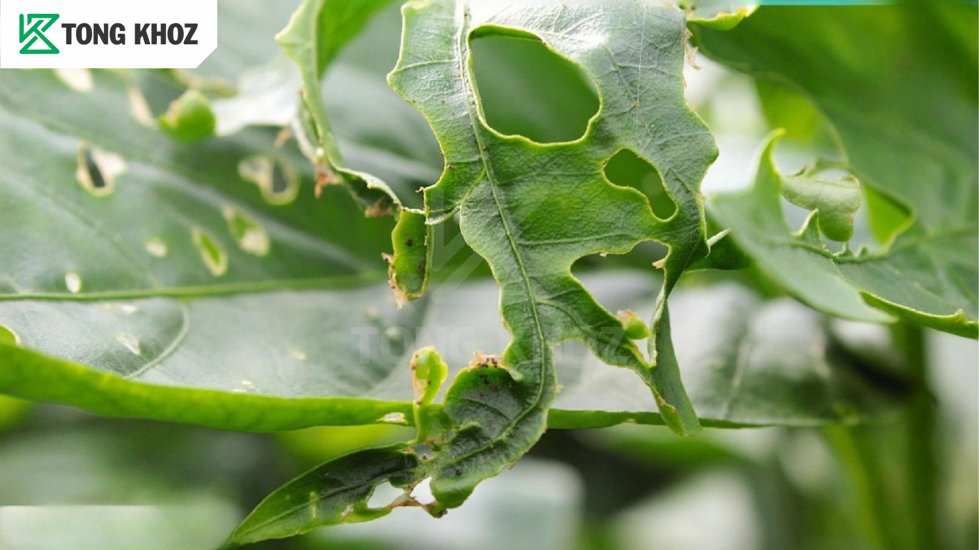
Sâu khoang là loài ăn tạp, chuyên phá lá và quả. Chúng gặm lá, để lại nhiều lỗ thủng và vết rách. Khi tấn công quả, sâu thường gây nứt vỏ hoặc làm thối hỏng trái. Ngoài ra, chúng còn có thể ăn cả hoa và các bộ phận non khác.
Vòng đời sâu kéo dài 30 – 45 ngày. Chúng phát triển qua bốn giai đoạn: trứng, sâu non, sâu lớn và bướm trưởng thành.

2. Biểu hiện của sâu khoang hại ớt
– Trên lá: Lá bị gặm khuyết, thủng nhiều lỗ, có vết rách loang lổ. Lá non thường bị ăn trụi, cây chậm lớn.
– Trên hoa: Sâu tấn công hoa, làm rụng hoa hoặc hoa không thụ phấn được, giảm khả năng đậu trái.
– Trên quả: Quả non bị đục, vỏ nứt, có vết sần sùi và dễ thối hỏng. Trái bị sâu phá mất giá trị thương phẩm.
– Dấu vết đặc trưng: Thường thấy phân sâu màu đen, vụn lá rơi vãi quanh gốc. Ban ngày sâu ẩn nấp, ban đêm bò ra cắn phá.
3. Tác hại của sâu khoang hại ớt
Làm giảm năng suất ớt
– Sâu khoang ăn lá và quả, khiến cây suy yếu. Chúng gặm phá liên tục, làm giảm khả năng sinh trưởng. Khi tấn công quả, sâu gây nứt vỏ, hỏng trái, mất giá trị thương phẩm.
Gây tổn thương cơ giới
– Hoạt động gặm lá của sâu tạo nhiều lỗ thủng. Lá bị hại mất khả năng quang hợp, giảm tích lũy dinh dưỡng. Kết quả là cây kém phát triển, sức sống suy giảm.
Tạo điều kiện cho bệnh hại khác
– Những vết thương do sâu để lại là cửa ngõ cho nấm và vi khuẩn xâm nhập. Cây dễ mắc bệnh thứ cấp, làm tình trạng thêm trầm trọng.
Suy yếu cây trồng toàn diện
– Nếu không kiểm soát, sâu khoang gây hại liên tục, khiến cây ớt suy yếu rõ rệt. Cây chậm phát triển, năng suất và chất lượng đều giảm.

4. Biện pháp phòng trừ sâu khoang hại ớt
4.1. Biện pháp canh tác
– Vệ sinh đồng ruộng, tiêu hủy tàn dư cây trồng sau thu hoạch.
– Luân canh với cây trồng ít bị sâu khoang hại để cắt vòng đời sâu.
– Trồng đúng mật độ, tỉa lá tạo độ thoáng, hạn chế nơi trú ẩn.
– Dùng bẫy đèn, bẫy pheromone để theo dõi và bắt bướm trưởng thành.
4.2. Biện pháp sinh học
– Bảo vệ thiên địch như ong ký sinh, nhện bắt mồi, bọ rùa.
– Sử dụng chế phẩm vi sinh như Bacillus thuringiensis (Bt), nấm xanh, nấm trắng.
– Ưu tiên các chế phẩm thảo mộc (Matrine, Azadirachtin) để hạn chế sâu non.
4.3. Biện pháp hóa học
– Phun thuốc khi mật độ sâu cao, nhất là giai đoạn sâu tuổi nhỏ.
– Nên luân phiên hoạt chất để tránh kháng thuốc.
– Một số hoạt chất hiệu quả: Abamectin, Emamectin benzoate, Spinosad, Indoxacarb, Matrine.
– Tuân thủ liều lượng khuyến cáo, đảm bảo thời gian cách ly an toàn.
4.4. Kết hợp phân bón hỗ trợ
– Bón hữu cơ giúp cây khỏe, tăng sức đề kháng.
– Sử dụng ROOTER-Z (kích rễ, phục hồi cây) và CASIBO-Z (bổ sung Canxi, Bo, hạn chế rụng trái non) từ Tổng Kho Z
5. Câu hỏi thường gặp về sâu khoang hại ớt
1. Sâu khoang thường xuất hiện lúc nào?
--> Chủ yếu vào mùa mưa, thời tiết nóng ẩm, vườn rậm rạp ít ánh sáng.
2. Làm sao nhận biết sớm sâu khoang trên ớt?
--> Quan sát lá non bị gặm khuyết, thủng lỗ; quả non bị đục, có phân sâu màu đen quanh gốc.
3. Sâu khoang hại nặng nhất ở giai đoạn nào?
--> Khi cây ra hoa – đậu trái, sâu ăn hoa và đục quả, gây mất năng suất.

Sâu khoang hại ớt là dịch hại nguy hiểm, nếu không kiểm soát kịp thời sẽ gây mất năng suất và chất lượng nghiêm trọng. Bà con nên áp dụng biện pháp quản lý tổng hợp (IPM): vệ sinh đồng ruộng, luân phiên hoạt chất thuốc BVTV, kết hợp phân bón hữu cơ giúp cây khỏe – tăng sức chống chịu. Chủ động phòng ngừa sẽ giúp vườn ớt phát triển bền vững, cho năng suất cao và chất lượng trái đồng đều.
LIÊN HỆ TƯ VẤN MIỄN PHÍ
TỔNG KHOZ – PHÂN BÓN CHÍNH HÃNG, GIÁ RẺ
Địa chỉ: Số 68, Nguyễn Huệ, Phường Sài Gòn, TP.HCM
Hotline Kinh Doanh: 0856.77.66.99 – Hotline Kỹ Thuật: 085555.99.44
Trang web: Tổng KhoZ
Email: tongkhoz@gmail.com
Facebook: Tổng KhoZ